Jack Patterson / All Peace Realty Ltd.

SE-13-72-6-W6 - , Commercial for sale in NONE Clairmont , Alberta , T8X 5B2

 MLS® # A2294477

0 bathrooms

Sign up to View

Days on Market

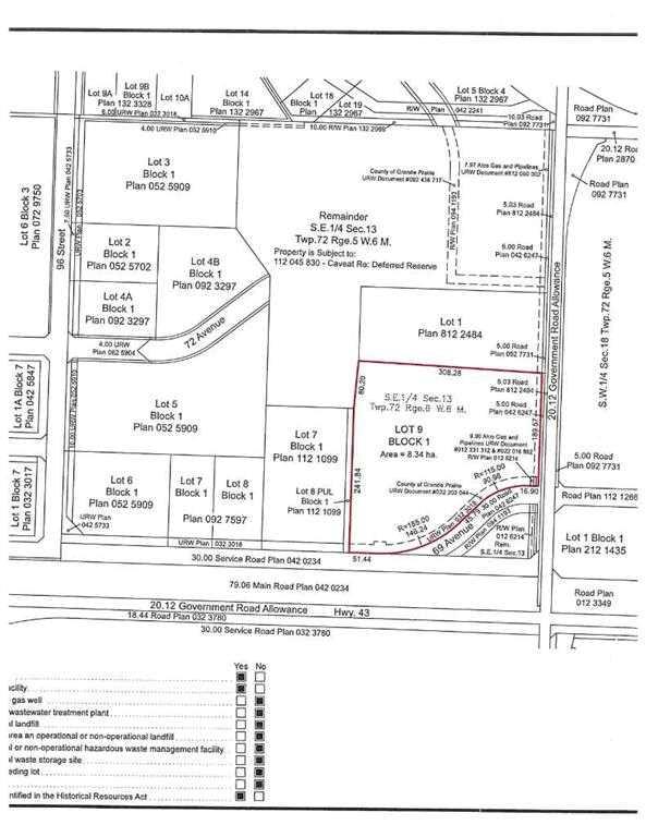
An opportunity to purchase 20.6+/- acres of commercial property in Crossroads North. This property is being rezoned as Rm-4 and is the most southeasterly portion of section 13 and is identified as commercial property in the area structure plan of Crossroads North. There are services to the property line including a curb stop on the property. The property has 69th Ave as a South boundary and Range Road 60 as a East boundary and is at the junction of alternate truck route access to Highway 43 North and East o...

Read More

Essential Information

  • MLS® #
    A2294477
  • Property Type
    Industrial
  • MLS® #
    A2294477
  • Property Type
    Industrial
  • MLS® #
    A2294477
  • Property Type
    Industrial

Community Information

  • Postal Code
    T8X 5B2
  • Postal Code
    T8X 5B2
  • Postal Code
    T8X 5B2

Additional Details

  • Zoning
    Commercial
  • Zoning
    Commercial
  • Zoning
    Commercial

$3,125,000

SE-13-72-6-W6 -

Schedule Tour
Contact Agent

$14231/month
Est. Monthly Payment
$
$
%
Learn More